Redevelopment of former Kmart on Beach Boulevard poised to start

Site work could start by late summer on Boulevard Crossing for stores, restaurants.


Closed for six years, the former Kmart at Beach and University boulevards is on a site designed for redevelopment into retail and restaurant space.
Closed for six years, the former Kmart at Beach and University boulevards is on a site designed for redevelopment into retail and restaurant space.
  • Columnists
  • Mathis Report
  • Share

Developers want to transform the site of a former Kmart, closed for six years, into shops and restaurants.

The former discount store at northwest Beach and University boulevards would be demolished and at least 30,000 square feet of space would be developed as Boulevard Crossing.

The project is in St. Johns River Water Management District review.

Jacksonville developer Jeff Conn, a co-founder and principal of NAI Hallmark, said Monday that he still is in the permitting phase and that work could start in the summer.

He said in October that site work could begin by spring and construction should start by late summer on Boulevard Crossing.

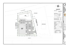
Plans show it will comprise four buildings totaling about 30,000 square feet of space on 8.84 acres at 5751 Beach Blvd. Those include a new McDonald’s to replace the one on the site, he said.

Conn and his groups — Boulevard Crossing LLC and Boulevard Investors LLC — don’t own the Kmart building.

He said in October he had no further information about the status of that structure but said previously he will be developing the property.

The plans by engineer England-Thims & Miller Inc., revised March 1, show four addresses for the outparcels: 5617, 5689, 5753 and 5801 Beach Blvd.

Those plans show a future outparcel “A” at 5801 Beach Blvd., the existing McDonald’s site. 

Outparcel “B” at 5753 Beach Blvd. is shown as a three-tenant, 6,790-square-foot building. Outparcel “C” is the new McDonald’s site at 5689 Beach Blvd. Outparcel “D” is shown as a 10,100-square-foot building at 5617 Beach Blvd. 

Plans previously filed with the Water Management District show the closed Kmart and other structures will be removed and the site redeveloped among four parcels.

Conn said in the fall he has serious letters of intent from food tenants but declined to identify them. He also said there will be retailers other than restaurants.

“That land has been sitting there for so many years. It’s obviously a great infill site with lots of traffic flow,” he said.

Kmart closed six years ago.

The property is in an area developed with retail stores and dominated on the southeast corner by Memorial Hospital and Brooks Rehabilitation Hospital.

Conn said the area’s employers and neighborhoods provide a good customer base and that the traffic flow west into Downtown in the morning and east in the afternoon also offers a stream of consumers.

Conn is president of Boulevard Crossing LLC.

Boulevard Crossing LLC paid almost $1.9 million in October 2014 for about 8 acres at 5751 Beach Blvd.

Conn said his groups own the bulk of the large parking lot while the Kmart building is held by another owner.

Boulevard Crossing LLC is led by Conn and Vice President Alex Coley, also a co-founder and principal of Jacksonville-based real estate company NAI Hallmark.

Conn also is the agent for Boulevard Investors LLC, which bought more property at the site Aug. 31 fronting Beach Boulevard, including the McDonald’s, for $365,000.

A preliminary site plan for Boulevard Crossing is included with Mobility Fee Calculation Certificates sought by Boulevard Crossing LLC.

The city calculated a mobility fee of almost $35,500 to support the transportation impacts of the larger building and $56,573 for the smaller.

The plan shows the property would comprise four parcels, starting west of the existing Piccadilly Cafeteria, which is not part of the project.

Conn said there is plenty of retail interest in the site. Kmart closed its 108,341-square-foot store in 2012. There also is 36,563 square feet of retail space. The structures were built in 1969.

Property records show the entire site to be 13.5 acres.

AutoZone to add Dunn Avenue store

AutoZone Stores LLC applied to the city to build at 6,905-square-foot store on 1.21 acres at 1286 Dunn Ave. at a cost of $699,068.

The city also is reviewing site plans for the store, which is west of Interstate 95 between Haverford Road and Wake Forest Avenue.

Plans show the entire building is 7,381 square feet. Goodson Nevin and Associates is the civil engineer.

AutoZone Stores LLC is based in Memphis.

Wawa soon to build at old Captain’s Club

Wawa is preparing to build its convenience store and gas station at the site of the former Captain’s Club at 13363 Beach Blvd.

Brightwork Real Estate Inc. of Tampa bought land at Beach Boulevard and Brougham Avenue — including the former Captain’s Club property — last year. 

Hines sells property to Noah’s Event Venue operator

Hines sold property to Rockwell Jacksonville LLC on March 27 at Southside Quarter for $1.2 million.

Rockwell Debt-Free Properties LLC of Sandy, Utah, owns and operates centers such as Fresenius Medical Care and Noah’s Event Venue.

The city issued a Conditional Capacity Availability Statement for an 8,181-square-foot Noah’s Event Venue on 1.38 acres at Village Crossing Drive in Southside Quarter for Noah’s Event Venue. Noah’s is based in Levi, Utah.

Fictitious name notice for Holiday Inn next to iFly site

Fox Jacksonville LLC filed notice under the state’s Fictitious Name Law for Holiday Inn Express & Suites at 10573 Brightman Blvd., next to the proposed iFly indoor skydiving center. The five-story, 99-room Holiday Inn Express & Suites is planned on about 1.4 acres.

 

Sponsored Content

×

Special Offer: $5 for 2 Months!

Your free article limit has been reached this month.
Subscribe now for unlimited digital access to our award-winning business news.