Fairfield by Marriott Inn & Suites is considering a location in northern St. Johns County off County Road 210, west of Interstate 95.
Jacksonville utility JEA is reviewing a service availability request for the project submitted April 6. Such requests do not confirm development but indicate preliminary interest.
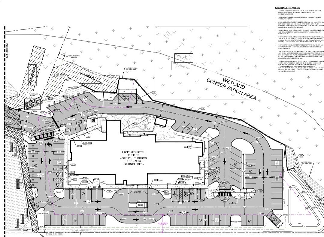
St. Augustine-based Gulfstream Design Group is listed as the civil engineer. VF Fountains 1 LLC of St. Augustine owns the 5-acre vacant parcel in Saint Johns. The registered agent, Shiv Parbhoo, is president of Victoria Falls Enterprises, a hospitality management company.
Site plans submitted to JEA show a 61,117-square-foot, four-story hotel with 103 rooms.
To move forward, the project would require permits from the St. Johns River Water Management District, along with county design approval, a building permit for the shell and a separate interior build-out permit. Those processes have not begun.
JEA serves the northwest portion of St. Johns County and coastal areas from Ponte Vedra south to Vilano Beach, although the primary utility provider for the area is Florida Power & Light.

As of early 2026, Fairfield by Marriott operated more than 1,180 locations across the U.S., including 75 in Florida, according to the company’s website.
The brand has more than 240 locations globally, the website said, and typically offers complimentary breakfast, free Wi-Fi and in-room workspaces.
If the St. Johns County project moves forward, it will be the third hotel development along County Road 210.
At a mixed-use development east of I-95 at the Fountains at St. Johns, an 81,858-square-foot Home2 Suites by Hilton with 137 rooms is under development and scheduled for completion in early 2027.
About 2 miles east of that project in the master-planned Beachwalk community, developers have proposed a 65,117-square-foot, four-story Compass Hotel by Margaritaville with 111 rooms. The county is reviewing project plans and JEA issued a service availability letter for that project March 2.
A Fairfield by Marriott operates at 305 Outlet Mall Blvd. off Florida 16 near the St. Augustine Premium Outlets.