A Hilton-brand hotel with up to 110 units could be on its way to Arlington’s College Park shopping center following recommended approval by the Jacksonville Planning Commission on April 9.
The 7-0 vote on Ordinance 2026-0170 sends the issue to the City Council Land Use and Zoning Committee for consideration. Planning Commissioners Amy Fu and Ali Marar were absent for the vote.
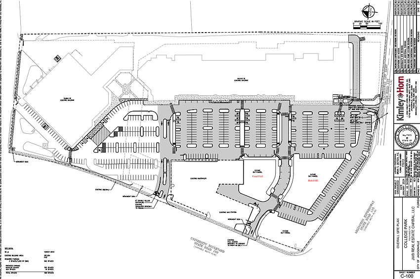
Alex Sifakis, president of project developer JWB Real Estate Capital, said in an April 10 text message that LivSmart Studios was the hotel planned for the site. LivSmart Studios is a Hilton suites brand.
The rezoning would grant a major modification to a previously approved Planned Unit Development from 2021 to include two outparcels within the College Park property. A PUD allows uses, regulations and standards tailored to a property.
Formerly known as the Town & Country Shopping Center, College Park underwent a $3 million renovation by JWB Real Estate Capital in 2020. The shopping center at the northeast intersection of University Boulevard and the Arlington Expressway added Winn-Dixie as its grocer tenant in 2021.
Site plans attached to the legislation show a separate structure designated as a food hall adjacent to the planned hotel, with another undefined future outparcel fronting University Boulevard.

In August 2025, city utility JEA issued a determination letter for electric, water and other service availability for LivSmart Stadium East College Park at the property at 903-957 University Blvd. N.
Hilton.com says LivSmart Studios “is a new value conscious extended-stay brand, providing apartment-style accommodations for long-stay guests who will make their home with us for 20 or more nights.”
A JEA application means a project is being considered and not that a deal is done.
Construction on the outparcels is set to begin within five years of the PUD’s approval, and should be completed within 10 years, according to the PUD’s written description.
The ordinance will move to the Council LUZ Committee, which will also recommend approval or denial, before a vote by the full Council. The LUZ Committee is next set to meet April 14.
Editor's note: This story was updated with information from Sifakis.