AdventHealth is taking steps toward developing a medical campus at World Commerce Center in St. Augustine.
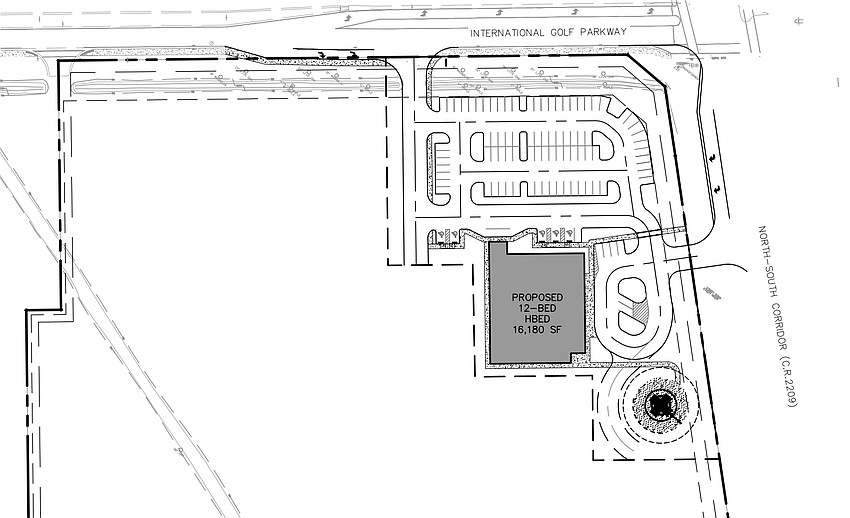
St. Johns County is reviewing plans for a 16,500-square-foot, 12-room emergency department for the Altamonte Springs-based health system.
There are 96 parking spaces planned along with a helipad and infrastructure for future developments at the 3.37-acre site south of Tocoi Creek High School off International Golf Parkway. The entire campus comprises 21 acres.
Jacksonville-based Kimley-Horn is the civil engineer.
Through AdventHealth Palm Coast Parkway Inc., AdventHealth bought three parcels for the campus from Jacksonville-based Steinemann & Company Real Estate through World Commerce Center LLP for $13.4 million on Feb. 5.
According to a county growth management letter dated Dec. 20, 2024, the health care provider plans to eventually develop an 88-bed hospital and 80,000 square feet of office space that would be leased to physicians not employed by AdventHealth or its affiliates.

In the letter, Dick D’Souza, the county’s growth management assistant director of transportation, wrote that the development is consistent with the property’s zoning. The letter was to Audrey Gregory, AdventHealth executive vice president and East Florida Division CEO.
According to the World Commerce Center website, land there can be used for residential, office, medical, retail, warehouse and hotel developments.
Founded in 1973, AdventHealth reported revenue of $18 billion in 2023. It has facilities in nine states. It is a nonprofit Seventh-Day Adventist organization and one of the largest not-for-profit Protestant health care provider in the country, according to adventhealth.com.
Its Florida locations are mainly in the central part of the state.
It also operates as Memorial Health Systems Inc., or MHS, after it began acquiring Memorial Health System hospitals in 2000, including Florida Hospital Flagler and Florida Hospital Memorial Medical Center. It rebranded those in 2018 under the AdventHealth name.
It operates 51 hospitals and several hundred care sites, according to the AdventHealth website.
In St. Johns County, it opened a freestanding clinic in November at 1000 Plantation Island Drive, Suites 2A, 2C and 2D, in St. Augustine. It is also building a 12-bed emergency room near the intersection of Florida 207 and Wildwood Drive east of Interstate 95. AdventHealth says it plans to open that facility in mid-2026.
The St. Johns County Development Review Committee is scheduled to discuss the World Commerce project Feb. 18.