A proposed West Jacksonville development that includes 478 single-family homes is the subject of new City Council legislation.
Council and the Planning Commission are set to review Ordinances 2026-0289 and 2026-0290, which would change the land use and zoning on 112.5 acres along Yellow Water Road about 1 mile north of Normandy Boulevard.
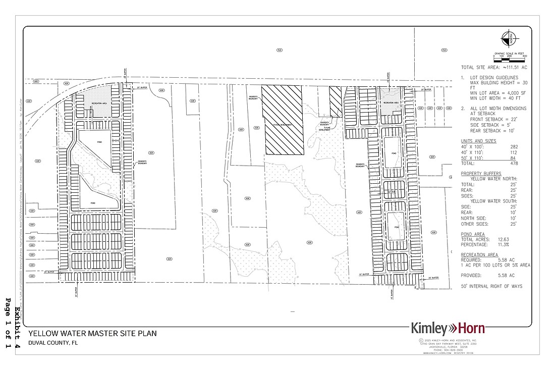
The property is southeast of the Interstate 10 and U.S. 301 interchange.
Ordinance 2026-0289 would set the land use as Low-Density Residential, a change from Agriculture and Rural Residential land use.
Ordinance 2026-0290 would change the zoning to a Planned Unit Development from Agriculture. A PUD allows uses, regulations and standards tailored to a property.
The PUD application allows for up to 550 homes in the development. Plans show 478 homes.
The rezoning request would apply essentially to two separate developments on Yellow Water Road. Those developments, denoted as Yellow Water North and Yellow Water South in a site plan, would be separated by several properties zoned for agricultural use. Those properties have several owners.

Jacksonville attorney Cyndy Trimmer, who represents the developer, said the north and south developments are separated by properties zoned for agricultural use.
She said the owner of those properties is involved in the land use change but not the rezoning, and instead is considering development separate from the project involved in the rezoning request.
Trimmer is with the Driver, McAfee, Hawthorne & Diebenow firm.
The subdivisions would include 282 40-by-100-foot lots, 112 40-by-110-foot lots and 84 50-by-110-foot lots.
The site plan also lists locations near Yellow Water South as potential future developments.
The PUD application would allow for fewer homes to be developed than a typical zoning. While an LDR zoning allows for up to seven units per acre, the PUD application caps that number at five units per acre.
The project developer is listed as Partridge Hill Capital LLC. Managers for Partridge Hill Capital are Andrew Hayman and Morgan McMasters, according to the Florida Division of Corporations.
The development has been in the works for four years, Trimmer said. Partridge Hill Capital worked with Council member Randy White, whose District 12 includes Yellow Water Road, to include “significant” green space along Yellow Water Road and to make the development consistent with a larger development planned across the street.
Developers of that project received approval for a PUD including 1,132 single-family residential units, 90 town homes and commercial retail development on about 587 acres.
The proposed Yellow Water North and Yellow Water South development is near other planned or existing residential developments, according to the application. The Saddle Brook Landings community, with 195 townhouses on 31.11 acres, is about 2 miles south on Normandy Boulevard.
Both ordinances are set to appear before the Planning Commission, which serves as a recommending body. The bills then will appear before the Council Land Use and Zoning Committee, which will make another recommendation before a vote from the full Council.