Publix is the grocery store planned for the residential, retail and industrial development in North Jacksonville at northeast Pecan Park Road and Interstate 95.
The site is north of Jacksonville International Airport on a 1,003-acre property owned by entities of Benderson Development Co. LLC of University Park, near Sarasota.
An exception allowing Publix Super Markets Inc. to sell alcohol was advanced Nov. 4 by the Jacksonville City Council Land Use and Zoning Committee. Publix was named in the Planning Department report for the rezoning.

Ordinance 2025-0763 would grant an exception for Publix Supermarkets Inc. to allow for retail sales and service of all alcoholic beverages for on-premises and off-premises consumption at Publix and a separate Publix Liquor store at the site.
The LUZ committee voted 6-0 to recommend approval, with Council member Reggie Gaffney Jr. away from the dais.
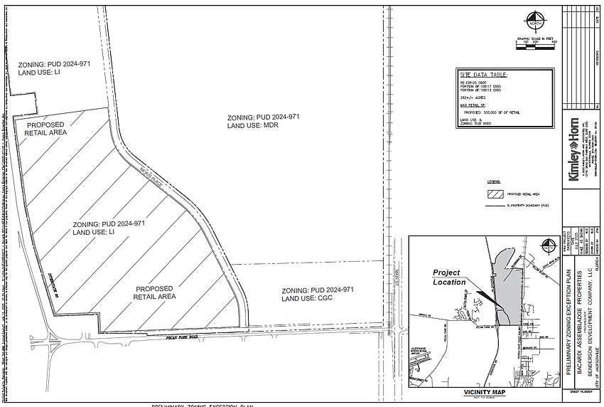
The grocery and liquor store would be built in the same plaza but in separate units, according to a Planning Department report on the exception.
A map shows a new road north through the property called Nexus Place. The area wraps around what is now an Amoco gas station.

The Benderson property has been in development for several years. It is bordered to the west by Interstate 95 and CSX rail tracks to the east near North Main Street.
In 2024, Council voted to rezone the development to Planned Unit Development, with different land use categories designated for each pod of the property. The Publix and retail area is in Pod B, marked as Industrial.
The PUD allows for a large mixed-use development sought to permit commercial, industrial, residential and conservation uses.

Benderson began filing plans with the city in November 2024 to include a grocer on the property.
The Daily Record reported then that city utility JEA was looking at the service availability for a project that included a 53,402-square-foot grocery, along with 1.539 million square feet of industrial space and 67,725 square feet of retail space.
A PUD is a special zoning district that allows for a mix of residential, commercial and industrial uses within a single district.
Benderson, a privately held real estate company, bought the majority of it in 2007 from Bacardi Bottling Corp., which operates a rum-bottling plant at 12200 N. Main St.
The designated land uses on the property are Conservation on 28.74 acres, Light Industrial on 289.79 acres, Community General Commercial on 22.52 acres, Medium Density Residential on 206.04 acres and Low Density Residential on 413.82 acres.Â