The city issued a site-work permit Oct. 13 for Tesla Collision Centers to prepare a site in Southwest Jacksonville and build a facility to repair the electric vehicles manufactured and sold by the Austin, Texas-based electric carmaker.
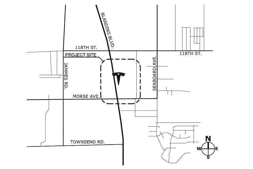
Tectonics Design Group of Reno, Nevada, is the civil engineer and architect for the project at 6655 Blanding Blvd. at a project cost of $250,000.
6S Development of Dallas wants to demolish an office, garage and storage shed on the 3.85-acre site. It would then prepare the land and build a 28,120-square-foot Tesla Collision Center at project costs estimated at $2.292 million.

In addition to the clearing at $250,000, the city is reviewing permits at the site for a $4,000 tire-storage structure; an $8,000 trash enclosure; the $30,000 demolition; and the $2 million auto collision center.
The 6S Development website – 6sdev.com – says the full-service commercial real estate company offers full-service construction management.
The tenant is listed as Tesla Inc. at its Fremont Factory in California.
The project
The project description says Tesla Inc. operates electric automobile collision/service centers to service its electric vehicles.
It says that the vehicle is not hybrid, so “there is no exhaust system, no fuel tanks, no liquid fuel usage, no new or used motor oil, no noise from the vehicle, and no emissions like hydrocarbon and carbon monoxide that are emitted from an automobile powered by an internal combustion engine.”

It says that the electric motors that power Tesla’s vehicles require little to no maintenance.
Robert N. Hawkinson and James E. Hawkinson LLP own the property. The Hawkinsons bought it in 1998 from Sir Goony Golf of Blanding Blvd. Inc.
The property is between Timuquana and Collins roads, east of Interstate 95 and west of Roosevelt Boulevard. More specifically, it is near northeast Blanding Boulevard and Morse Avenue.
In January 2024, 6S Development asked Jacksonville utility JEA to determine the service availability for that site and another in North Jacksonville. No permit is in review for the Northside site.
“This lot is just down the road from multiple luxury car dealerships including BMW, Mercedes-Benz, and Lexus,” said a project summary for the Blanding location by listing agent Prime Realty.

The JEA application at Blanding Boulevard did not identify Tesla but described the project, saying the applicant is “looking to build” a 36,000-square-foot collision center. The city issued an availability letter Jan. 22, 2024, and other elements of the project continue in JEA review.
Tesla sells and services cars at a 45,200-square-foot sales, delivery and service center at 11650 Abess Blvd. in the Atlantic North shopping center in East Arlington.
The center faces Atlantic Boulevard west of Kernan Boulevard.
Tesla says its service centers can perform cosmetic repairs on parts including bumpers, trunks, side mirrors, wheels and glass.
Now in 22 states
Tesla Collision Centers are owned and operated by Tesla Motors Inc. to perform light collision work and full structural repair. The company also trains staff at the centers.
Tesla.com shows 55 Tesla collision centers in 22 states.
There are four in Florida in Fort Lauderdale, Fort Myers, Orlando and Tampa.
Tesla also lists third-party collision support centers.