A full-service restaurant is planned in St. Johns County’s Beachwalk community, but its name has not been revealed.
On Feb. 6, the county received a permit application for the commercial development off County Road 210.
The restaurant’s name is not listed on the application and the proposed restaurant’s developer, Boca Raton-based Falcone Group, declined in a Feb. 9 email to identify it.
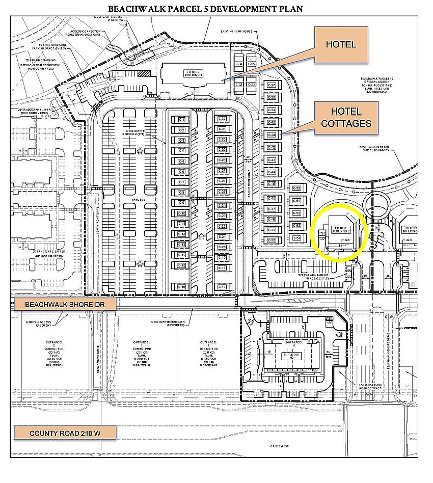
The site is next to the planned 65,117-square-foot, four-story Compass Hotel by Margaritaville, about 2 miles east of Interstate 95.

City-owned utility JEA is reviewing a service availability request, and the St. Johns River Water Management District is evaluating an environmental resource permit application filed Feb. 5.
As with the permit application, the JEA and water management district documents do not list the restaurant’s name.
Plans show a one-story, 6,542-square-foot restaurant, similar in size to a typical sports bar or casual dining chain. Parking spaces are not identified, and no drive-thru is shown.
An internet search of square footages of restaurants showed that comparable footprints included a Wild Wing Cafe in Snellville, Georgia, and a Twin Peaks in Jacksonville.
Prime AE Group Inc. of Jacksonville is the civil engineer. The county’s Development Review Committee is scheduled to begin internal review of the application March 4. No in-person meeting is currently scheduled.
Beachwalk, developed by Falcone Group beginning in 2017, includes residential neighborhoods, retail space and a 14-acre lagoon that serves as a private pool.
Dining options in Beachwalk include BurgerFi, Chipotle, Island Fin Poke Co., Panera Bread, Panda Express and Playa Bowls.