D-BAT explores Nassau County location

The baseball and softball training center franchise is evaluating a site in Yulee.


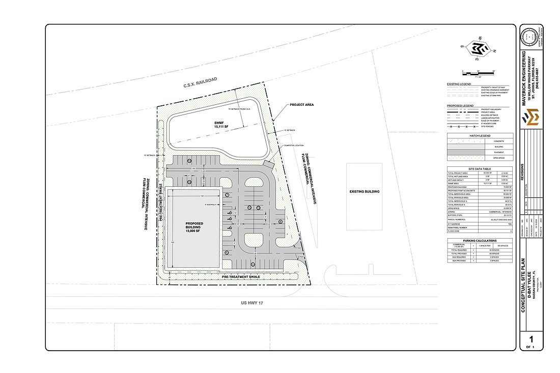
D-BAT Baseball & Softball Academies is exploring a 15,000 square foot location at a site off U.S. 17 in Yulee in Nassau County, according to a JEA service availability request made March 25, 2026.
D-BAT Baseball & Softball Academies is exploring a 15,000 square foot location at a site off U.S. 17 in Yulee in Nassau County, according to a JEA service availability request made March 25, 2026.
Photo by D-BAT
  • Business
  • Share

D-BAT Baseball & Softball Academies is exploring a Nassau County location off U.S. 17 less than a mile south of Florida 200 in Yulee, according to a JEA service availability request made March 25. 

The request indicates interest in a project but does not represent a finalized deal. 

The site is adjacent to a Dollar General, and the vacant land is owned by Jacksonville-based Holland-Zell Partnership LLP. St. Johns-based Maverick Engineering is named as the civil engineer. 

Site plans show a 15,000-square-foot enclosed facility with 69 parking spaces and associated stormwater management systems.

D-BAT was founded in 1998 by brothers Cade Griffis and Kyle Griffis and has grown to include more than 145 locations, including franchises introduced in 2009. Locations offer private lessons, cage rentals, camps, clinics and classes, according to the company’s website.

In Northeast Florida, D-BAT operates academies in Jacksonville, St. Augustine and Green Cove Springs. 

The Jacksonville locations are open 10 a.m. to 9 p.m. Monday through Friday, 9 a.m. to 6 p.m. Saturday, and noon to 6 p.m. Sunday.

 

Sponsored Content

×

Special Offer: $5 for 2 Months!

Your free article limit has been reached this month.
Subscribe now for unlimited digital access to our award-winning business news.