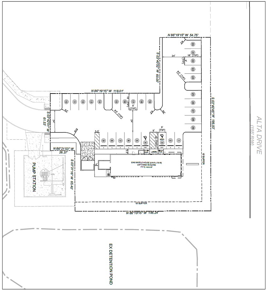
What appears to be at least the 25th 24-hour Waffle House Inc. in Northeast Florida is in consideration in North Jacksonville at northwest Alta Drive and Interstate 295.
City utility JEA received a service availability request Oct. 9 for the proposed development south of Faye Road.
The site is west of Alta Drive, across the street from property on the east side owned by Parker’s Kitchen, a Savannah, Georgia-based gas station and convenience store company that appears to plan at least 10 Northeast Florida locations.

Waffle House is based in Norcross, Georgia. Engineering firm Contineo Group LLC of Decatur, Georgia, is applicant.
A JEA request means a deal is being explored and not that a deal has been done.
A preliminary concept site plan shows a 1,913-square-foot Waffle House and parking on a 0.54-acre parcel.
The Duval County Property Appraiser shows the location is part of a 7.58-acre undeveloped site owned by a Palm Beach Gardens limited liability company.
The review comes as Waffle House was cleared to build along Deerwood Lake Parkway near Tinseltown. That site, at 4319 Deerwood Lake Parkway, is on the west side of Southside Boulevard while the Tinseltown area is on the east side.

Waffle House bought that 1.23-acre site Sept. 13, 2024, for $595,000.
The city issued a site-clearing permit April 1 at a cost of $395,000, followed by a construction permit Sept. 24 for the 34-seat, 1,840-square-foot restaurant at $481,000.
A search on the Waffle House website shows 23 of the all-day diners in Baker, Clay, Duval and St. Johns counties.
Waffle House’s taglines are “A Unique American Phenomenon” and “America’s Place to Eat, America’s Place to Work.”
The Jacksonville Beach Waffle House made news when Jacksonville Jaguars quarterback Trevor Lawrence received a standing ovation as he walked in after a 31-30 comeback win in January 2023 over the Los Angeles Chargers, sending the Jaguars into the divisional playoffs for the first time since 2017.
That November, Lawrence catered Waffle House for the Jaguars front office after the team’s win over the Tennessee Titans.