Harbor Freight wants to add a seventh area store, which would be the fifth in Jacksonville, in Pablo Station at northwest Beach Boulevard and San Pablo Road.
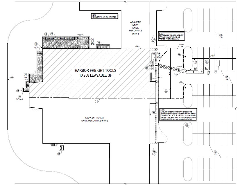
The tool store company will lease about 17,000 square feet of space where Food Lion and then Big Lots operated at 14333 Beach Blvd.
The city is reviewing a permit application for Harbor Contracting Co. Inc. of Thomasville, Georgia, to build-out the space, including exterior renovations, at an estimated project cost of $400,000.

ADA Architects of Lakewood, Ohio, is the architect.
Exterior work includes a new entry door and a new forklift ramp.
Harbor Freight appears to be taking part of the space that the closed Food Lion and Big Lots store leased.
Duval County property records show the 32,011-square-foot store was built in 1989.
The property is owned by Pablo Shopping LLC of Boca Raton whose registered agent and manager are in Delray Beach.

Harbor Freight says at HarborFreight.com that it is “America’s #1 Tool Store with more than 1600 locations nationwide.”
The company says Chairman and CEO Eric Smidt founded Harbor Freight in 1977 as a small mail-order tool business in North Hollywood, California.
It says that more than 75 million customers shop its automotive, air and power tools, storage, outdoor power equipment, generators, welding supplies, shop equipment, hand tools and more.
The site shows that Harbor Freight has stores in 48 states.
Its Florida locations include four stores in Jacksonville and one each in Orange Park and St. Augustine.
The Jacksonville stores are shown at 9861 Beach Blvd. in Southside Estates, 10950 San Jose Blvd. in Mandarin, 932 Dunn Ave. in North Jacksonville and 8102 Blanding Blvd. in the Argyle area of West Jacksonville.