A Fifth Third Bank location is planned in the SilverLeaf community in St. Johns County.
It will be the second Fifth Third Bank office in St. Augustine and the fifth in the county. There are two in Ponte Vedra and one in Saint Johns.
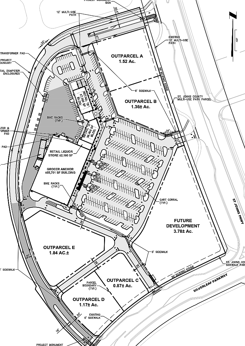
The application says the 2,400-square-foot bank will be built on an outparcel of the Publix-anchored Silverleaf Market under construction at 1975 Silverleaf Parkway.

Hutson Cos. owns the land through White’s Ford Timber LLC. BDG Architects, a frequent Fifth Third collaborator, is the architect.
The St. Johns County Development Review Committee is scheduled to discuss the project Nov. 19.
Fifth Third has 197 branches in Florida, including nine in Jacksonville. It also operates in Georgia, Illinois, Indiana, Kentucky, Michigan, North Carolina, Ohio, South Carolina, Tennessee and West Virginia, according to its website, 53.com.
On Oct. 6, Fifth Third Bancorp announced it had entered into a merger agreement with financial services company Comerica Inc. under which Fifth Third will acquire Comerica in an all-stock transaction valued at $10.9 billion.
SilverLeaf is an 11,000-acre, master-planned community zoned for 17,600 residential units, 2.9 million square feet of mixed-use and commercial space and more than 4,300 acres of conservation land, according to the silverleafflorida.com website.
When complete, the site says it will be among the largest community developments in Northeast Florida.